Another trip with Mary! This one was a lot more noteworthy I must admit. We met up in Maui and day 1 was the Road to Hana! We stopped in a lot of places – and these first pictures are from Stop #1: Twin and Caveman Falls


I also made a little mash up of videos of the road so you can see how windy it is! Also a view of me trying to learn how to use my Go Pro π Enjoy!
Stop #2-Garden of Eden Arboretum. The views were beautiful



The only crime I can accuse the road to Hana of is not having enough places to pull over and admire its beauty! Since I was driving I have less documentation of the whole drive, but trust me – its a much see! Luckily we were still able to grab a few spots to take in the views.

Shaved ice and delicious banana bread at Halfway to Hana!

Stopped over in Wailua Valley State Wayside to check out a few of the many beautiful waterfalls.




Another stop was to check out the lava tubes! I loved this picture going down into the tubes.



Lava stalactites! It was cool to see how these tubes differed from caves.

Climbing back up out of the cave, and the light was perfect for this picture. Like life and light creeping down into the barren cave.

I wish I had a dollar for every sign that said DO NOT WALK UNDER THE TREES. Learned that coconuts are silent killers. We also got to see an old temple too! Very cool.



Mary was feeling pretty rebellious when she saw this sign so she ventured into coconut alley!





All of these pictures were taken in Wai’anapanapa State Park. Beautiful black sand beach!! I love the color of the green, with the black rock and blue water π Easy photography



Last stop going out on the road to Hana was the Kipahulu district of Haleakala National Park! We climbed over to get a better view of the Pools of Ohe’o.

We stopped over in Ho’okipa beach because I had seen people say there would sea turtles and we were not disappointed! It was packed with surfers, and also one person who Mary and I dubbed the turtle police. They have a line of rocks preventing you from disturbing them while they sun themselves on the beach. We still got some decent pictures from afar.





We grabbed dinner in Paia and then hurried down to the beach to catch the very end of the sunset.

The next day was our snorkel tour on the boat Leilani! After Mary and I lathered up in our not reef safe sun screen (to our embarrassment and horror when we got the reef safe sunscreen speech on the boat), we headed down to the docks.

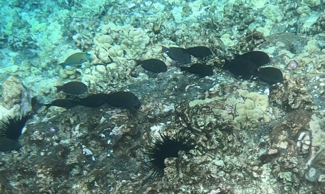
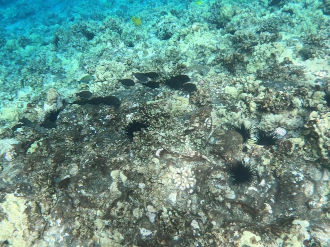
Now you get to see my new Go Pro in action! This was my first time using it – and this is also my first time being able to upload videos to my blog! I had to pay a little extra for it so please watch them many times to help me justify it!! The first snorkel location was Molokini Crater. The water was SO clear. It was unbelievable.







From sea floor to mountain top in one day! Our next stop was the summit of Haleakala to watch the sunset. This drive was pretty breathtaking. I was a bit white knuckled driving up (and even MORE driving back down). We drove right up through the cloud line and then it felt like we were in a completely different world! Far above the clouds we continued to climb all the way up to 10,023 feet – to the tallest summit in Haleakala called Pu’u Ula’ula.



Grabbed a picture of the silver sword – its an at risk plant that only grows in a specific climate.

I don’t think these next few even need any explanation. The views of this area from all different angles were amazing.






I love this picture of Mary. My soul feels free just looking back at it. Next up was the sunset!




Once the sun was down we started our long trek back down the mountain. I love this picture because it just looks like the road goes off into the clouds. What an amazing park! I loved the island of Maui, and I cannot wait to come back and experience it again. I will definitely be coming back to watch the sunrise from the summit so I can decide which one is more spectacular.
